本文へスキップ
愛媛県大洲市近郊の不動産情報 売り土地・中古住宅・分譲土地のご相談はトミナガ不動産有限会社へ
トミナガ不動産有限会社
電話でのお問い合わせは
0893-24-0637
〒795-0052 愛媛県大洲市若宮988−29
若宮分譲地詳細
detail
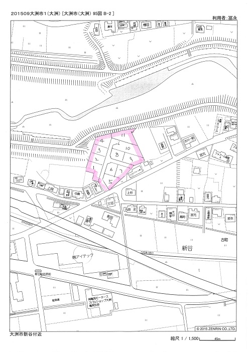
大洲市若宮(分譲地全7区画)
大洲駅に近く小学校にも近い分譲地です。
物件概要
価格
747万円〜1032万円
地目
宅地
所在地
大洲市若宮
面積
145.26u(43.94坪)〜
213.40u(64.55坪)
用途地域
都市計画区域内(第一種住居地域)
取引態様
売主
建ぺい率
60%
容積率
200%
接道状況
公道
排水
公共下水
建築条件
建築条件付
現況
更地
権利形態
所有権
その他
その他
特徴等
最適用途:住宅用地
交通
伊予大洲駅より徒歩3分
小学校
大洲喜多小学校徒歩5分
中学校
大洲北中学校徒歩12分
私道負担
引渡時期
相談
自社管理番号
情報更新日
2025年8月26日
このページの先頭へ
ナビゲーション
top page
トップページ
real estate
売り土地情報
company
会社案内
contact us
お問い合わせ
access
アクセス
バナースペース
売り土地情報
中古住宅情報
分譲地情報